Business
Pragas e insetos vetores exigem manejo antecipado para proteger produtividade e qualidade da fibra

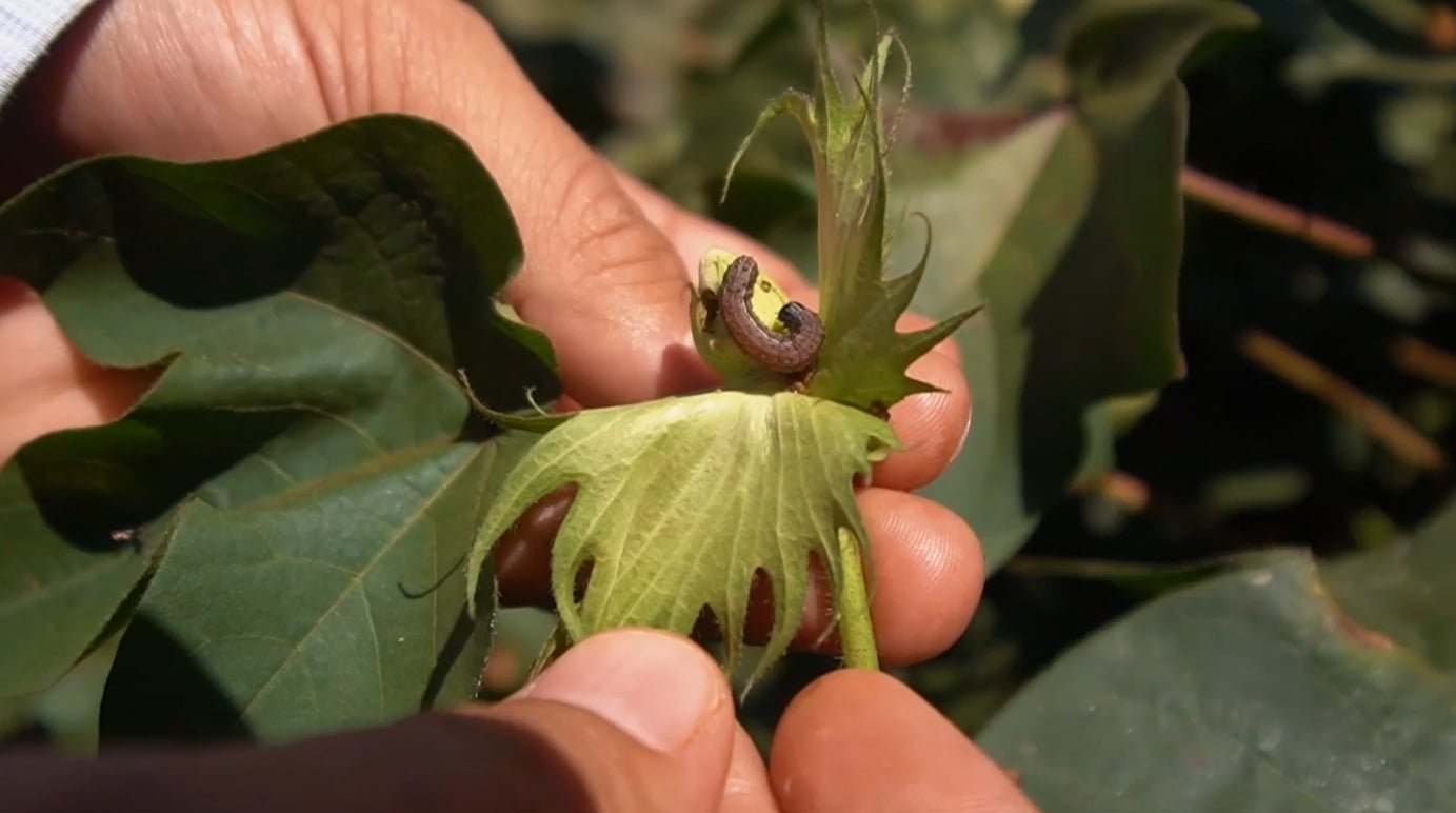
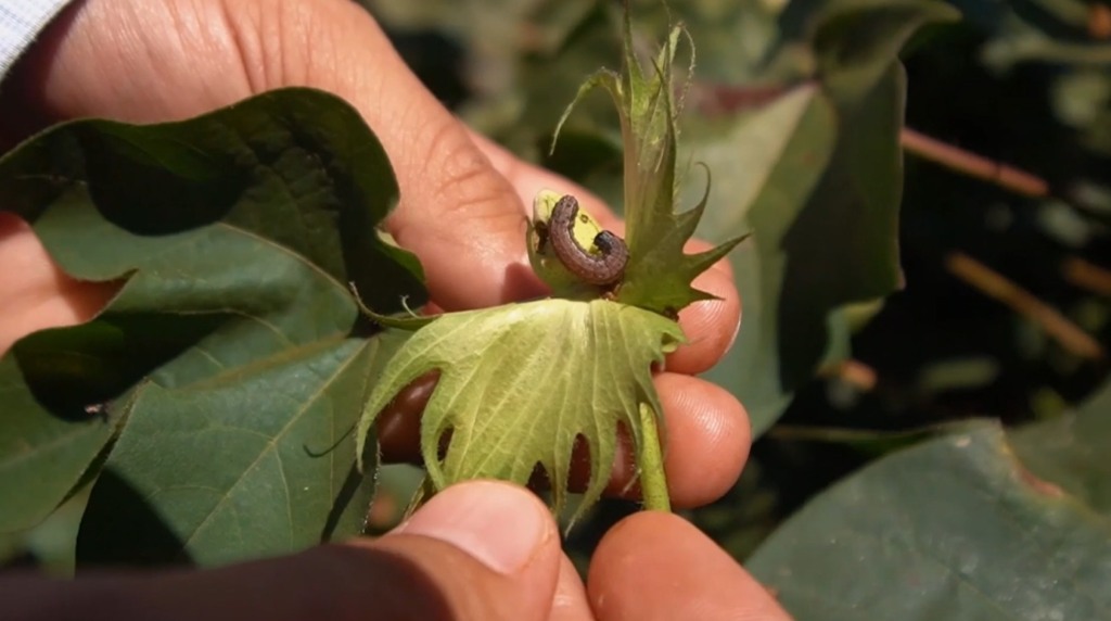
A presença de pragas, especialmente aquelas que atuam como insetos vetores, representa um dos principais desafios da cotonicultura brasileira. Muitas vezes silenciosos, esses problemas podem comprometer a fisiologia da planta, a qualidade da fibra e até a competitividade do algodão nacional no mercado internacional.
Segundo Rodrigo Burci, gerente de marketing de cultivo para algodão da BASF, os danos começam ainda nas fases iniciais da lavoura e se intensificam quando o manejo não é feito no momento correto. Ele explica que as pragas se dividem basicamente em dois grandes grupos, cada um com impactos distintos sobre a cultura.
As pragas mastigadoras, como as lagartas, atuam diretamente sobre as folhas, reduzindo a capacidade da planta de realizar fotossíntese e acumular energia. “As principais pragas que causam danos no algodão, são as pragas mastigadoras, no caso das lagartas que vão realmente comer ali as folhas e consequentemente vão prejudicar a estrutura fisiológica dessa planta e a obtenção de energia”, afirma Burci em entrevista ao Canal Rural Mato Grosso.
Já entre as pragas sugadoras, o alerta é ainda maior. Pulgões, mosca-branca e o bicudo estão entre os insetos que mais preocupam o setor. “Outro tipo de pragas são os sugadores. Pulgões, mosca branca, o próprio bicudo, que é a principal praga hoje que causa mais danos e limita até em alguns locais a produção do algodão”, diz.
Impactos silenciosos na fibra
Além da perda direta de produtividade, os sugadores trazem um problema adicional: a pegajosidade da fibra, conhecida no campo como “algodão doce”. Esse efeito ocorre quando os insetos expelem açúcares ao se alimentarem da planta. No caso do pulgão, o açúcar é mais facilmente removido pela chuva. Já a mosca-branca libera uma substância mais aderente, que permanece na fibra.
“Quando essa fibra vai para fiação, ela tem um problema grande porque ela começa a sujar o maquinário e parar a produção dessa fibra”, explica Burci. O reflexo vai além da lavoura e chega à indústria têxtil, dentro e fora do país. Conforme o especialista, isso pode afetar a imagem do algodão brasileiro e até estimular a substituição da fibra natural por materiais sintéticos.
Controle começa cedo
Diante desse cenário, o manejo antecipado é apontado como a principal estratégia para reduzir danos. Burci reforça que o monitoramento constante permite agir quando as populações ainda estão pequenas, aumentando a eficiência do controle e reduzindo o número de aplicações.
“Para lidar com pragas novas no algodão, a gente precisa realmente pegar nas fases iniciais, porque a gente tem populações, colônias menores. Se eu deixar essa colônia expandir e explodir dentro da minha área, eu vou ter uma dificuldade maior do controle”, alerta.
A identificação precoce das colônias de pulgões e mosca-branca é determinante para preservar o potencial produtivo da lavoura. “Quando eu consigo pegar essa praga numa fase mais inicial, eu vou ter um sucesso maior de controle e vou prejudicar menos essa planta”, afirma ao Canal Rural Mato Grosso.
Atenção aos vetores de doenças
Outro ponto de atenção destacado por Burci é o papel do pulgão como vetor de viroses, incluindo a virose atípica, que já causou prejuízos no passado e começa a reaparecer em algumas regiões produtoras. “O pulgão por ser um vetor me dá um problema sério, porque às vezes eu estou deixando passar como que está a contaminação da minha planta em relação à virose atípica”.
Ele ressalta que o produtor precisa acompanhar de perto a lavoura para entender o impacto real dessas doenças sobre a produtividade. “E quanto isso está tirando da minha produtividade?”, completa.
O manejo integrado, aliado ao uso de soluções específicas para cada praga, ajuda a manter as populações em níveis controlados e evita que a contaminação se espalhe por toda a área. “Faça o seu levantamento e comece seu manejo nas fases iniciais onde a praga está ali. Você vai ter muito sucesso, produtor. E com certeza, você vai produzir fibra de alta qualidade e com grande produtividade”, orienta.
Clique aqui, entre em nosso canal no WhatsApp do Canal Rural Mato Grosso e receba notícias em tempo real.
O post Pragas e insetos vetores exigem manejo antecipado para proteger produtividade e qualidade da fibra apareceu primeiro em Canal Rural Mato Grosso.
Business
Canetas emagrecedoras: o impacto no frango e na demanda por grãos

O número de usuários de canetas emagrecedoras no mundo pode ultrapassar os 100 milhões até 2030, segundo relatório da Cogo Inteligência em Agronegócio. Esse resultado deve-se à quebra de patentes de marcas como Ozempic, Wegovy e Mounjaro, fazendo com que os preços caiam exponencialmente e o consumo aumente.
Com a demanda crescente, aumenta também a preocupação com a possível redução do consumo de alimentos, uma vez que esse tipo de medicamento diminui o apetite de quem usa. Embora essa seja a lógica imediata, o estudo indica o oposto para o setor de grãos e para o consumo de proteína animal, com destaque para a carne de frango e os ovos.
- Veja em primeira mão tudo sobre agricultura, pecuária, economia e previsão do tempo: siga o Canal Rural no Google News!
Em um contexto em que o consumidor procura saciedade prolongada, as chamadas “proteínas magras” tendem a ser impactadas com maior intensidade. Segundo o relatório, as exportações brasileiras de carne de frango podem ter um incremento de 12% a 15% no médio prazo.
Mudança na dieta e no comportamento
Em relatório lançado em abril deste ano, a Associação Brasileira de Proteína Animal (ABPA) já indica uma mudança estrutural no perfil do consumo global de proteínas.
O setor de ovos, por exemplo, atingiu a produção recorde de 62,3 bilhões de unidades em 2025. Segundo a ABPA, esse crescimento decorre da desmistificação do produto, que agora se consolida como essencial e saudável para o consumidor.
Em relação à carne de frango, a entidade aponta que o consumo per capita se manteve elevado no ano passado, com 46,7 kg por habitante.
Oportunidades estratégicas para o Brasil
Diante desse cenário, surgem oportunidades estratégicas para o setor exportador de grãos. Isso porque o aumento do consumo dessas proteínas eleva a demanda por ração, que é composta majoritariamente por milho e farelo de soja, com cerca de 60% e 25%, respectivamente.
As projeções da consultoria indicam que em um cenário otimista de 5 a 7 anos, a demanda para uso em ração pode crescer até 10% para o cereal e 12% para o derivado da soja.
Além dos impactos nos embarques brasileiros, outro ponto destacado no relatório é a ascensão dos Smart Foods — alimentos formulados para maximizar a saciedade e a densidade nutricional. Com isso, abrem-se oportunidades para frigoríficos investirem nesse mercado.
Por outro lado, não são todos os setores que deverão ser beneficiados. Para ultraprocessados, carboidratos e açúcares, a perspectiva é de queda significativa no consumo, o que indica uma virada nos hábitos alimentares que irá demandar cada vez mais resiliência e mudança nas estratégias.
.
O post Canetas emagrecedoras: o impacto no frango e na demanda por grãos apareceu primeiro em Canal Rural.
Agro Mato Grosso
Valtra aposta nos motores biometano com economia de até 40% no agro

Em meio a uma guerra no Oriente Médio que elevou o preço dos combustíveis fósseis e aumentou ainda mais a pressão sobre a rentabilidade do produtor rural brasileiro, as grandes indústrias de máquinas agrícolas trouxeram para a Agrishow, maior feira agrícola de tecnologia da América Latina, em Ribeirão Preto (SP), uma alternativa comum de descarbonização: os motores a etanol. A escolha do combustível se deve à vocação natural do país e aos aumentos de produção a partir do milho.
A tecnologia para mover os tratores e outrasmáquinas agrícolascom o etanol, no entanto, ainda está em testes, fase que antecede a validação. A Valtra é a única que faz uma estimativa de lançamento comercial do motor.
“As máquinas já completaram mais de 10 mil horas de testes em fazendas de cana de parceiros. Estamos agora na fase de pequenos ajustes, como a curva de potência, mas estamos maduros para entrar firme no mercado em 2027”, diz Cláudio Esteves, diretor de vendas da empresa do grupo AGCO.
A Fendt aposta no motor elétrico, que já está sendo comercializado na Europa e Estados Unidos. Mas também está testando outras opções de combustível. Marcelo Traldi, vice-presidente da Fendt e Valtra na América do Sul, diz que o motor elétrico pode vir para as máquinas da marca no Brasil, mas isso ainda não está decidido.
“Já temos a solução elétrica pronta, mas sabemos da dificuldade de recarga. Estamos trabalhando para trazer a melhor solução e superar as dificuldades, visando redução de consumo de combustível e utilização correta de todos os insumos.”
Torsten Dehner, vice-presidente global da Fendt, diz que o trator elétrico desenvolvido na Alemanha promete uma economia de até 20% em combustível nas operações no campo. A marca premium da AGCO trabalha o desenvolvimento de um trator híbrido.
“O ponto central é que não existe uma solução única. A transição energética no agro será híbrida e complementar: eletrificação, biometano, etanol e biodiesel atendem a diferentes perfis de operação, regiões e realidades produtivas.”
“O etanol do milho vai mudar a pressão sobre o uso desse combustível. A grande questão a ser respondida ainda é o poder calorífico do motor porque a máquina exige um torque maior.”
Biometano

Trator a biometano da Valtra — Foto: Eliane Silva/Globo Rural
Além do etanol, a Valtra aposta no biometano, combustível produzido com o passivo ambiental das propriedades, como os dejetos da suinocultura, criando um modelo de economia circular.
Nesse caso, os testes já somaram 20 mil horas e o lançamento está previsto para 2028. Segundo Esteves, atualmente as máquinas das marcas do grupo AGCO equipadas com a transmissão CVT entregam uma economia de 15% de diesel.
“Assumimos o compromisso em 2017 de explorar no Brasil o trator movido a biometano. As vendas vão se consolidando. Temos a ferramenta pronta para uso em várias culturas, como café e suinocultura, mas é na cana que a tecnologia tem sido mais adotada”, diz o diretor, que não revela o total de unidades vendidas desde o lançamento. Só diz que está na casa de dezenas.
Segundo as informações os tratores a biometano oferece a mesma potência do diesel, com uma economia de até 40%.
Business
Imea estima 48,8 mi/t de soja na safra 26/27; milho é a maior preocupação

A safra 2026/27 de soja em Mato Grosso deve registrar uma produção de 48,882 milhões de toneladas. É o que estima a primeira projeção para o ciclo do Instituto Mato-grossense de Economia Agropecuária (Imea). A cautela na oleaginosa aponta um volume 5,19% menor que o colhido no ciclo 2025/26, influenciada pelas incertezas climáticas e, principalmente, com os custos operacionais diante dos preços dos insumos, visto as tensões geopolíticas no Estreito de Ormuz. Fatores, inclusive, que preocupam em relação ao milho segunda safra, segundo o setor produtivo.
De acordo com o Imea, a área da safra futura deve crescer 0,25% e ficar em 13,046 milhões de hectares, “configurando como o possível menor crescimento dos últimos anos”, o que reflete um ambiente mais desafiador para o produtor rural.
Em relação a produtividade, a projeção aponta 62,44 sacas por hectare, decréscimo de quatro sacas por hectare em comparação às últimas duas safras, que registraram patamares recordes próximos a 66 sacas por hectare. O Instituto explica que a “redução está associada, principalmente, à mudança no padrão climático, com a transição de um cenário de La Niña, que favoreceu o desempenho recente das lavouras, para um ambiente com maior influência de El Niño, historicamente relacionado à impactos negativos no desenvolvimento da soja no estado”.
Milho é a maior preocupação
A perspectiva anunciada pelo Imea, na avaliação do presidente da Associação dos Produtores de Soja e Milho de Mato Grosso (Aprosoja-MT), Lucas Costa Beber, “é um número mais realistas” para o momento vivido. Conforme ele, além da questão do diesel, os fosfatados também passam pela região do Estreito de Ormuz.
Beber afirma que são grandes as preocupações dos produtores rurais mato-grossenses com o ciclo 2026/27 diante das tensões geopolíticas, em especial com o milho.
“Nós temos uma forte preocupação, já que o milho tem segurado um pouco da rentabilidade do produtor rural. Nós já temos o conflito da Rússia com a Ucrânia e temos agora esse conflito no Irã, que é um grande fornecedor de nitrogenados aqui para o país e um grande importador de milho”, pontua em entrevista ao Canal Rural Mato Grosso.
O presidente da Aprosoja-MT frisa que a tendência para o próximo ciclo é uma redução de investimento em tecnologia, visando uma diminuição dos custos para que o produtor rural “consiga ter uma rentabilidade razoável”.
Clique aqui, entre em nosso canal no WhatsApp do Canal Rural Mato Grosso e receba notícias em tempo real.
O post Imea estima 48,8 mi/t de soja na safra 26/27; milho é a maior preocupação apareceu primeiro em Canal Rural Mato Grosso.
Agro Mato Grosso3 horas agoQuando o calor volta? Saiba até quando deve durar a frente fria em MT
Agro Mato Grosso3 horas agoMenino de 8 anos morre após cair em fita transportadora de soja em fazenda de MT
Agro Mato Grosso5 horas agoVÍDEO: peão morre pisoteado por touro em rodeio no interior de SP
Business20 horas agoRápida evolução dos bioinsumos pressiona governo por célere regulamentação, diz Abinbio
Featured4 horas agoMais de 39 mil idosos em Várzea Grande ainda não se vacinaram contra a influenza
Featured6 horas agoPM resgata três homens vítimas de sequestro e tortura e detém quatro suspeitos em Tangará da Serra
Featured5 horas agoInfectologista de MT alerta: Vacinação é a principal barreira contra doenças
Featured3 horas agoGosta de Fuscas? Cuiabá recebe exposição gratuita do queridinho dos brasileiros; Veja fotos!


















